الموقع

  • رقم الإعلان : 32466
  • عدد المشاهدات : 1401

ارض للبيع

قطعة أرض مساحة 758م للبيع في عمان - ناعور حوض المنيف ناعور منطقة فلل حديثة

نظرة عامة

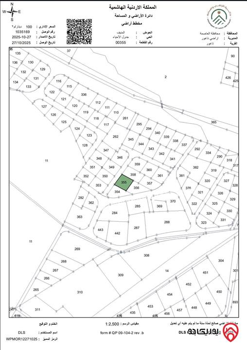
قطعة أرض للبيع حوض المنيف ناعور منطقة فلل حديثة مقابل كمبوند جرين لاند ناعور شارع الأربعين الدولى ناعور المطار الغربي حوض المنيف 27 رقم القطعة 355 سكن ب 758 متر مربع الشكل الهندسي مربعة بواجهة 28 متر على شارع عرضه 10 متر
منطقة فلل حديثة وهادئة قريبة جدا من مرج الحمام
موقع مميز ومتوسط يتوفر فيه جميع الخدمات والعديد من المدارس الخاصة في منطقة
تبعد 1كم عن دوار الشهداء (قرب داىرة الاراضي ناعور)
الأرض مستوية تماما

  • السعر 150,000 JD
  • مساحة الأرض 758 متر مربع
  • المنطقة ناعور
  • معلم معروف مسجد عبدالكريم العايد
  • المنطقة المحيطة منطقة سكنية هادئة
  • المحافظة عمان
  • قرية ناعور
  • الحوض المنيف
  • الحي جدول الأحياء

الخصائص

  • التنظيم: سكني ب
  • الكهرباء واصلة
  • الحوض: المنيف
  • المياه واصلة
  • المجاري واصلة
  • رقم القطعة الأرضية 355
  • مطلة على الشارع

ميزات أخرى

  • يقع داخل مجمع فيلات
  • تقع على شارع (واجهة على شارع)
  • عدد الشوارع التي تقع عليها 1
  • اطول واجهة على الشارع 28 متر
جميع الحقوق محفوظة. © حقوق النشر.