الموقع

  • رقم الإعلان : 78222
  • رقم الإعلان لدى الوسيط العقاري : 28402
  • عدد المشاهدات : 25

ارض للبيع

أرض مساحة 4611م للبيع في عمان - ناعور

نظرة عامة

28402
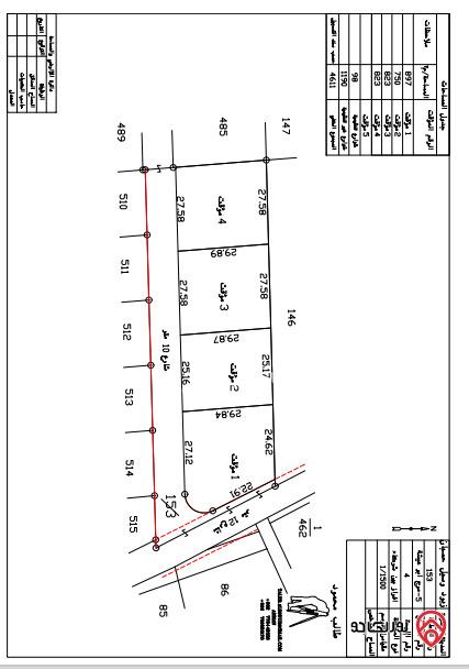
📍 منطقة خلف دار الدواء📐 مساحتها 4611 م2
🗂️ حوض مرج ابو عيشه (5) - رقم القطعة 153
📌 اقرب نقطة دالة شرق دار ادوا ناعور بـــ 400م
خارج التنظيم📜 خارج التنظيم↔ طول الواجهة 45↕ م عمق القطعة 123↔️ م واجتها الرئيسية شرقية
📉 🌐 محاطة بفلل فقط
📝 معلومات اضافية (مفروزة فرز مؤقت الى 4 نمر كل نمرة تقريبا دونم 150م
بالقرب من دار الدواء. سكن ب . المساحة ٤٦١١ متر. يمكن استثمارها باشكال مختلفة مثل يمكن فرزها الى ٤ قطع او انشاء مشروع صناعي اذا تم تحويلها الى صناعي كونها بالقرب من دار الدواء. )
💰 سعر كامل القطعة 320 ألف دينار
💰 سعر المتر 65 دينار 📌 لوكيشن الموقع
https://maps.app.goo.gl/gXieYUzGibxDBaA46

احداثيات الموقع
31°51'14.6"N 35°47'04.1"E
من فضلك في حال ما فتح عندك اللوكيشن انسخ الاحداثيات و الصقها في التطبيق الذي تستخدمه خرائط GPS
لمزيد من التواصل 0795462255
احمد العيسوي

  • السعر 320,000 JD
  • مساحة الأرض 4611 متر مربع
  • تاريخ النشر منذ 7 أيام
  • المنطقة ناعور
  • معلم معروف خلف دار الدواء
  • المنطقة المحيطة منطقة سكنية
  • المحافظة عمان
  • قرية زبود و سيل حسبان
  • الحوض مرج ابو عيشه
  • الحي جدول الأحياء

الخصائص

  • التنظيم: خارج التنظيم
  • الحوض: مرج ابو عيشه
  • رقم القطعة الأرضية 153

ميزات أخرى

جميع الحقوق محفوظة. © حقوق النشر.