الموقع

  • رقم الإعلان : 77312
  • عدد المشاهدات : 16

ارض للبيع

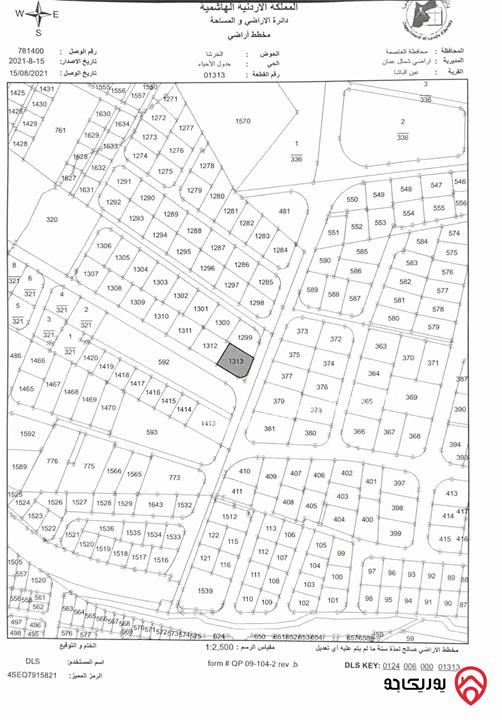
ارض مساحة 798م للبيع في عمان - منطقة عين الباشا

نظرة عامة

قطعة ارض لقطة ومطلة في منطقة عين الباشا مساحة 798م2 حوض الخرشا على
شارعين ، شارع سكني 20م وشارع سكني 12م بسعر ممتاز الواجهة الامامية 20م
منطقة مخدومة بسوق تجاري قوي بسعر مغري

  • السعر 77,000 JD قابل للتفاوض
  • مساحة الأرض 798 متر مربع
  • تاريخ النشر منذ 13 ساعه
  • المنطقة عين الباشا
  • معلم معروف مسجد تبارك الرحمن
  • المنطقة المحيطة منطقة سكنية
  • المحافظة عمان
  • قرية عين الباشا
  • الحوض الخرشا
  • الحي جدول الأحياء

الخصائص

  • التنظيم: سكني ب
  • الكهرباء واصلة
  • الحوض: الخرشا
  • المياه واصلة
  • المجاري واصلة
  • رقم القطعة الأرضية 1313
  • مطلة على الشارع

ميزات أخرى

  • تقع على شارع (واجهة على شارع)
  • عدد الشوارع التي تقع عليها 2
  • اطول واجهة على الشارع 20 متر
جميع الحقوق محفوظة. © حقوق النشر.